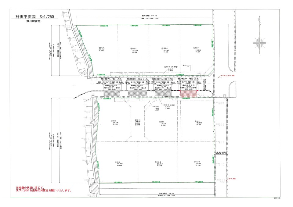
JR山陰本線直江駅 と 西野小学校の間にあたる場所です。
用途地域(近隣商業地域)です。建蔽率は80%です。
南側は広く田が広がっており、眺めは良好です。仏教山等南の山々も見えます。
周囲は水田が残り、中を涼しい風が吹いてきます。
西野小:約500m、JR直江駅:約600m、イズミ:約800m等 生活に便利な場所です。
今年度から、農地の地区計画からの除外が必要となるため手続きに時間がかかります。
造成工事は、来年 2月~5月を予定してます。 引き渡し予定:5月末~6月末頃
契約は2月上旬、下旬、3月頃を予定しております。
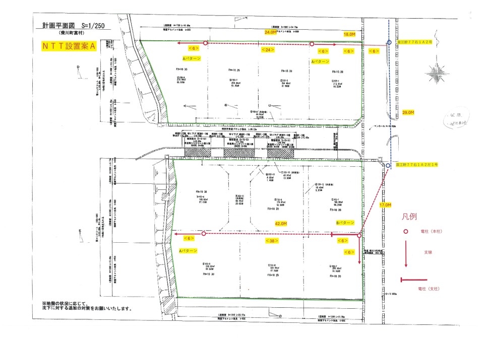
造成地北、南、西側はH=1.5ⅿ程度のL型擁壁を設置します。
電柱計画は未だ決まっておりません。
中央東西の市道の歩道ブロックは基本的に撤去します。
共有地を、分筆しそれぞれの持ち物にする方が良ければ対応いたします。
土地代 HP価格表示はE区画の例です。
出雲市との最終協議の結果、南側の6区画については合併浄化槽での生活排水にせざるを得ない事
になりました。北側4区画は計画通り公共下水道の配管を致します。
A:契約済 B:予約済
C:204.65㎡ 897.55万 予約済 D:218.44㎡ 858.91万 商談中!
E:193.90㎡ 774.06万 → 780.00万 予約済
F:173.87㎡ 736.26万 → 711.26万 商談中
G:188.91㎡ 771.39万 → 746.52万 予約済
H:204.44㎡ 830.79万 → 805.79万 空き
I:223.98㎡ 846.87万 → 806.87万 空き
J:230.90㎡ 873.13万 → 843.13万 予約済
実測面積による清算有(個別宅地が1㎡以上変わる場合)
C、D、E、F、G区画は共有地、市道利用で南側に駐車場、庭等を設ける事ができます。
別途経費
水道加入金:13.29万、公共下水道受益者負担金:420円/㎡、ゴミ箱負担金:5.5万
所有権移転等登記費用
























